Search
Items tagged with: Climate
Hello everyone, Iam #newhere. My fields of interest are #blogging, #climate, #esg, #finance, #greenfinance and #linux. Thanks for the invitation @serlad!
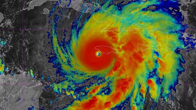
Blooms of yellowish-brown seaweed along the Equator are breaking records and defiling beaches, while a centuries-old patch farther north is disappearing.
A study published Thursday in the journal Nature Geoscience finds a big shift in the growth patterns of #sargassum, a type of floating #macroalgae that provides food and shelter for fish, turtles, seabirds and other marine life.
nytimes.com/2025/12/04/climate…
archive.ph/NTC8l
Climate panel calls for action on food waste and train tickets
A citizens' climate panel has presented the cabinet and parliament with a package of measures that could cut greenhouse gas emissions by between 4% and 12%
dutchnews.nl/2025/12/climate-p…
#ClimateChange #GlobalWarming #UpheavalClimate #GlobalBurning #ClimateDestruction #ClimateSuicide #MassAtrocity #pollution #ecology #environment #climate
Climate panel calls for action on food waste and train tickets - DutchNews.nl
A citizens’ climate panel has presented the cabinet and parliament with a package of measures that could cut greenhouse gas emissions by between 4% and 12%, according to an assessment by research bureau CE Delft.Robin Pascoe (DutchNews.nl)
LOL can't have those homebuyers realizing their Florida home is destined to join the Atlantic ocean and that their bucolic mountain home is at risk of catastrophic wildfire destruction.
A contractor has now set up to start the demolition of St Fitticks Park. All for a so-called "Energy Transition Zone" that is nothing but a cover for an oil billionaire to expand his fossil investments. (1/5)
1/3
#climate #earthquake #tsunami #scicomm #podcast
Antarctica, long considered a remote and isolated region, is now showing signs of emerging diseases. Migratory birds and rising temperatures are introducing pathogens into previously untouched ecosystems. This study highlights the spread of H5N1 bird flu among seals and other animals. It underscores the urgent need for monitoring and early-warning systems to protect wildlife
moneycontrol.com/science/h5n1-…
#ClimateChange #GlobalWarming #UpheavalClimate #ecology #environment #climate
Latest comic: Climate Silence
#climate #climatechange #cop30 #media #journalism #uspol #oligarchy #climatecrisis
ClimateJustice.social is a Mastodon server for climate justice activists, and those concerned about global warming and the current environmental crisis.
This server has been online since 2020 and has a post size of up to 5000 characters.
You can find out more at climatejustice.social/about or contact the admin account @PaulaToThePeople
#FeaturedServer #Environment #Climate #ClimateCrisis #ClimateJustice #Activism #Green #Mastodon #Fediverse #FreeFediverse
Climate Justice Social
Welcome to this Fediverse instance for climate justice activists.Mastodon hosted on climatejustice.social
It was a victory for a range of business interests that have lobbied to scale back the #CleanWaterAct of 1972, including farmers, home builders, real estate developers, #oil drillers & #petrochemical manufacturers.
…Under the #CleanWater Act, companies & individuals must obtain a permit from the #EPA before releasing #pollutants into the nation’s #waterways. They must receive a permit from the US Army Corps of Engineers.…
USA now has world’s third worst climate policy, says German NGO.
Its badness ranks after Saudi Arabia and Iran, and before Russia, in the Climate Change Performance Index ranking.
english.elpais.com/climate/202…
#Climate #COP30 #USA #USPol #FossilFuels #Russia #Iran #SaudiArabia #Trump #Energy
US joins Saudi Arabia, Iran, and Russia in the group of countries doing the least to combat climate change
A report ranking the international response to global warming warns of a ‘large-scale rollback of climate policies’ under TrumpManuel Planelles (Ediciones EL PAÍS S.L.)
The #Trump admin proposed Monday to significantly limit the EPA’s authority to limit #pollution in #wetlands, #rivers & other bodies of #water across the country.
The proposed rule could strip federal #protections from millions of acres of wetlands & #streams, potentially threatening sources of clean #DrinkingWater for millions of Americans.
#climate #wildlife #law #EnvironmentalLaw #CleanWaterAct
nytimes.com/2025/11/17/climate…
Its now pretty clear that Saudi Arabia is a major block to global efforts to act on climate change... don't get me wrong the global political class is weak & unwilling to act decisively anyway, but the Saudi's are doing their bit to make that inaction even easier....
If the human race makes it to the end of C21st, you can be sure the survivors will look at out generation(s) & see the betrayal of the future pretty starkly!
#Climate #SaudiArabia #politics
theguardian.com/world/2025/nov…
$170,000 a minute: why Saudi Arabia is the biggest blocker of climate action
Desert kingdom depends on oil dollars but its people already face a climate ‘at the verge of livability’. What’s going on?Damian Carrington (The Guardian)
#Iceland’s relatively mild #climate is shaped by a crucial network of currents that winds its away around the #Atlantic Ocean transporting heat northward — without it, the island would be much icier & stormier. As evidence mounts these currents could be on course for #collapse, Iceland’s govt has designated the risk a #NationalSecurity threat, prompting a a high-level response into how to prepare for this “#existential threat.”
#ClimateCrisis #ClimateChange
cnn.com/2025/11/15/climate/ice…
#Trump to propose opening #California Coast to #oil #drilling for the first time in roughly 4 decades, acc/to 3 people.
The move would set up a confrontation with Gov #GavinNewsom, a #Democrat who has fought #OffshoreDrilling & who has emerged as one of Trump’s chief political antagonists. Newsom is in Brazil for the #UN #climate summit, where he is drawing a contrast between himself & Trump, who denigrates efforts to fight #GlobalWarming.
#Trump Officials Accused of Mob Tactics to Kill a #Climate Measure
Nations were poised to approve the first fee on #pollution from #ships. That’s when the Trump admin began the #threats.
Among other threats from US officials, Secretary of #State #MarcoRubio personally called officials in several countries to threaten financial penalties & other punishments if they continued to support the ship pollution agreement.
#MafiaState #law #ClimateChange #ClimateCrisis
nytimes.com/2025/11/06/climate…
If our planet were a patient, it would be admitted to intensive care. Its vital signs are alarming. It is running a high fever, with average global temperatures increasing year after year. Its lung capacity is compromised, with the destruction of forests that absorb carbon dioxide and produce oxygen. & many of the earth's water sources - its lifeblood - are contaminated. Most concerning of all, its condition is deteriorating
aninews.in/news/world/europe/i…
Good news in perilous times.
"World's Largest Cargo Sailboat Completes Historic First Atlantic Crossing"
Its not just the largest in the world, its the largest wind powered ship in history, by a lot. A LOT.
So it begins.
This is one, there will be many.
___
There is one measure of progress preventing climate collapse, how much we have REPLACED carbon fueled engines. ONE MEASURE. NO OTHER.

